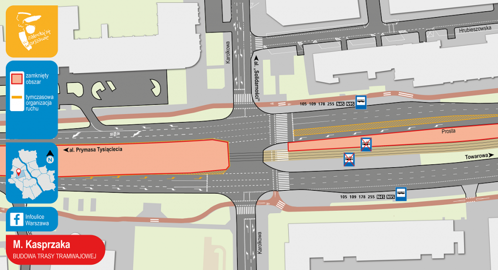
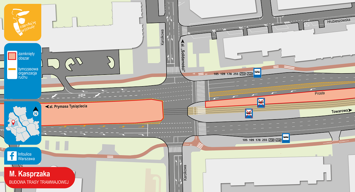
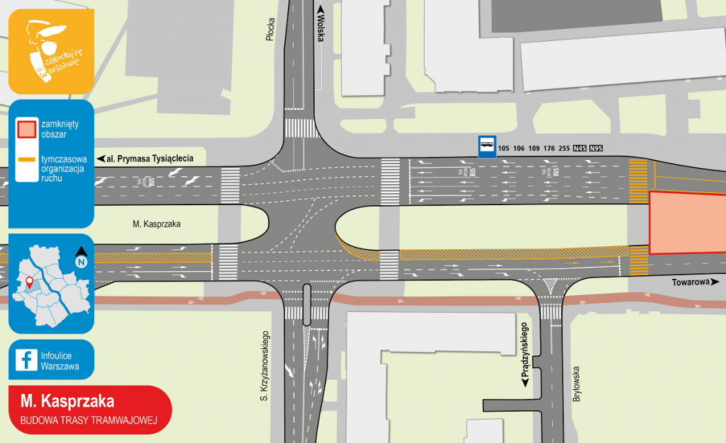
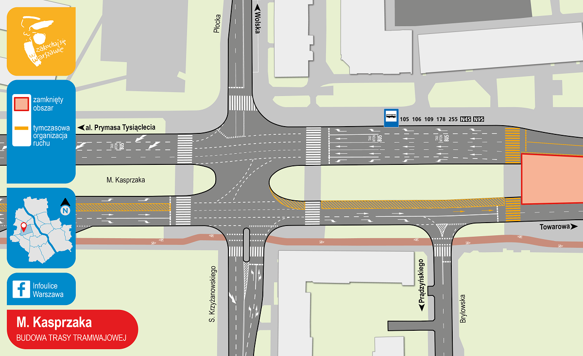
W najbliższy weekend – 5 marca – rozpocznie się budowa trasy tramwajowej na warszawskiej woli. Szykują się utrudnienia dla podróżnych m.in. zwężona zostanie ul. Kasprzaka. Budowa ma potrwać dwa lata.
Jak informują Tramwaje Warszawskie powstanie ok. 2,3 km nowych torów między ul. Wolską i Skierniewicką, ponadto zmodernizowany zostanie blisko 1,2 km odcinek istniejącego torowiska w ciągu ul. Wolskiej i Kasprzaka. Dodatkowo mieszkańcy Woli zyskają nowe przystanki: przy ul. Płockiej, przy przystanku kolejowym Warszawa Wola oraz przy ul. Ordona.
Nowa trasa zapewni dojazd do dwóch stacji metra Ronda Daszyńskiego oraz Ronda ONZ, ale także do stacji kolejowej Warszawa Wola. Mieszkańcy Bemowa również skorzystają na tej inwestycji.
Kiedy zakończenie robót?
Budowa nowej trasy zakończy się w 2023 r. Wykonawca ma 20 miesięcy na realizację zadania od podpisania umowy w październiku ubiegłego roku. Do tego czasu nie będą wliczane 3-miesięczne okresy zimowe, jeden z nich właśnie się skończył – podają Tramwaje Warszawskie.
Tramwaje wracają na pętlę Os. Górczewska – zmiany w komunikacji
Kończą się prace przy budowie stacji metra Bemowo, które kolidowały z ruchem tramwajów na ulicy Górczewskiej – tramwaje będą ponowie dojeżdżały do pętli Osiedle Górczewska. Od soboty 5 marca trasy zmienią tramwaje linii 10, 11, 26 i 28. Linie 10 i 11 pojadą z pominięciem Skierniewickiej i Kasprzaka.
Tramwaje:
- linii 10 pojadą ulicami: Puławską, Nowowiejską, al. Niepodległości, al. Jana Pawła II, al. „Solidarności”, Wolską, Połczyńską, Powstańców Śląskich i Górczewską;
- linii 11: Grójecką, Towarową, Okopową, Wolską, Połczyńską, Powstańców Śląskich do pętli NOWE BEMOWO. Tramwaje linii 26 będą kursowały: Grochowską, Targową, al. „Solidarności”, Wolską, Połczyńską, Powstańców Śląskich, al. W. Reymonta, Wólczyńską i T. Nocznickiego;
- linii 28: Kijowską, Targową, Ratuszową, Jagiellońską, S. Starzyńskiego, mostem Gdańskim, Z. Słomińskiego, al. Jana Pawła II, W. Broniewskiego, al. W. Reymonta, Powstańców Śląskich i Górczewską.
Podczas prac nie będą funkcjonowały przystanki: Rogalińska 04, Norblin 03 i 04, Rondo Daszyńskiego 07 i 08, Karolkowa 03 i 04, Szpital Wolski 05 i 06 oraz Rondo ONZ 08.
Tramwaje wrócą na przystanki: Bemowo-Ratusz 06, Klemensiewicza 03 i 04 oraz Os. Górczewska 11, 12, 13, 14 i 15.



